Wohnen - Kauf - Herford

Baugrundstück zu verkaufen Bauen Sie Ihr 1-bis 2 Familienhaus in Herford

199.990 €
Herford
Objektart
Grundstück
Objekttyp
Wohnen
Vermarktungsart
Kauf
PLZ
32049
Ort
Herford
Grundstück
685 m²
Provision
zuzüglich 5,95% Maklerprovision, inkl. 19% MwSt auf Grundstückspreis

Beschreibung:

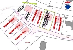
BAUGRUNDSTÜCK NACH BEBAUUNGSPLAN B-PLAN
1 bis 2 Familienhaus möglich

-Bauen Sie jetzt Ihr Traumhaus als Einfamilienhaus oder Zweifamilienhaus
-Dieses Baugrundstück ist Bauträgerfrei und liegt sehr zentral und stadtnah in Herford.
-Die Projektierung ist nur als Beispiel
Der Bau der Doppelhaushälfte erfolgt nach dem B-Plan und gebaut wird ein Haus mit einem Satteldach.

Auf Wunsch kann Ihre Immobilie mit folgenden Extras individuell angepasst werden:

- ebenerdige Duschen im Erd- und Obergeschoss
- 1m breite Türen
- schwellen Terrassenelemente
- Betontreppe für einen Sitzlift
- diverse andere Möglichkeiten


Verwirklichen Sie jetzt Ihren Traum vom Eigenheim und vereinbaren Sie einen Termin mit uns!


Nermin Cömertpay
Immobilienmakler IHK RE/MAX §34c
+49 (0) 176 34151621

Wir freuen uns auf Ihren Anruf!

Lagebeschreibung:

Das Grundstück befindet sich in einer ruhig gelegenen Sackgasse.

- Zwischen H2O und Tierpark
- nähe Kindergarten und Schule

Alles für den täglichen Bedarf, wie z.B. ein Supermarkt, eine Sparkasse, Ärzte und eine Apotheke befinden sich in unmittelbarer Nähe, sowie eine Grundschule, weiterführende Schule und Kindergärten die Sie in wenigen Minuten zu Fuß erreichen können.

Busverbindungen zur Herforder Innenstadt, wie auch die Innenstadt von Bad Salzuflen sind in der nähe.

Für den familiären Badespaß oder entspannten Sauna-Besuch mit den engsten, ist das H20 ideal, welches Sie auch in nur 5 Minuten mit dem Auto erreichen.

Ausstattung:

Energieausweis:

Energieausweis:
es besteht keine Pflicht!

Ausstattungsbeschreibung:

-BAUGRUNDSTÜCK NACH B-PLAN
-1 bis 2 Familienhaus GRUNDSTÜCK
- SATTELDACH

Sonstige Angaben:

RE/MAX Winner Team - Bielefeld

Ihre Zufriedenheit liegt uns am Herzen. Wir freuen uns auf die

Zusammenarbeit.

Wenn Sie innerhalb von 24 Stunden auf Ihre Anfrage keine Rückantwort erhalten haben, rufen Sie bitte unsere Hotline unter der Nummer: 0521/30 51 51 80 an oder schreiben Sie uns eine E-Mail an:
bielefeld-mitte@remax.de

Bitte haben Sie Verständnis dafür, dass wir nur Anfragen mit kompletten Kontaktdaten (Name, Anschrift, Telefonnummer und E-Mail Adresse) beantworten können.

Wenn Sie jemanden kennen, der jetzt oder später seine Immobilie verkaufen möchte, melden Sie sich gerne bei uns. Es winkt Ihnen eine Tippgeberprovision.

DEKRA zertifizierte kostenlose Wertermittlung Ihrer Immobilie durch unsere geschulten RE/MAX Immobilienmakler!

Was ist Ihre Immobilie wert?
Wir vermitteln Ihre Immobilie und haben über 1.000 Suchkunden, die sofort kaufen können.
Weltweit in über 100 Ländern mit über 100.000 RE/MAX Immobilienmaklern die Nummer 1.

RE/MAX Immobilienmakler (m/w/d)

Sie möchten auch in den Traumberuf als RE/MAX Immobilienmakler einsteigen, dann bewerben Sie sich JETZT!
Gerne auch als Quereinsteiger oder als geförderter Umschüler.
Bewerben Sie sich, wenn Sie im Umkreis von 100 km wohnen.

Immokontor24 GmbH
Tel: 0521/30 51 51 80
E-Mail: bielefeld-mitte@remax.de
www.immokontor-bielefeld-mitte.remax.de

Die Informationen in diesem Exposé berufen auf Angaben, die wir vom Veräußerer und / oder Dritten erhalten haben.
Für deren Richtigkeit und Vollständigkeit übernehmen wir keine Haftung.
Nermin Cömertpay
Nermin Cömertpay
Immo Estate GmbH
+49 (0) 176 34 15 16 21
Jeder Lizenznehmer ist ein rechtlich eigenständiges Unternehmen und handelt auf eigene Rechnung und Verantwortung.